714 S BLOSSER; ZONED M-2 WITH WAREHOUSE, OFFICE & SHOP; 5.97+/- ACRES; SANTA MARIA, CA
714 S BLOSSER; ZONED M-2 WITH WAREHOUSE, OFFICE & SHOP; 5.97+/- ACRES; SANTA MARIA, CA
Price: $4,290,000
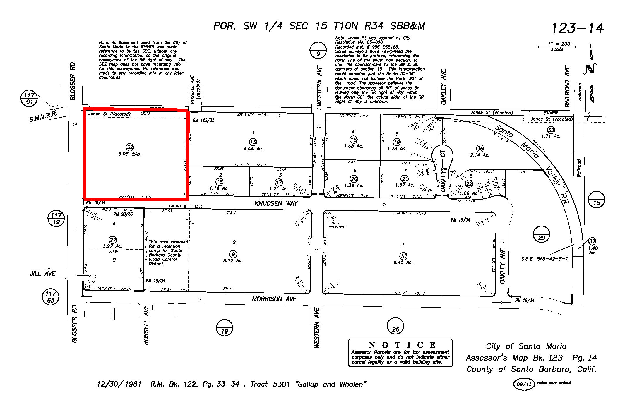
Size: 5.97 +/-deeded acres, Santa Maria, California, County of Santa Barbara (the Property)
Location: Located on the northeast corner of Blosser Road and Knudsen Way, the Property has great access and visibility. Blosser Road has two lanes in both directions and runs north/south while Knudsen Way runs east/west with one lane in each direction to the Property’s south. There is a railroad track abutting the northern boundary of the Property.
Description: The site of the former Bonita Cooler, 714 S. Blosser Road is an improved industrial warehouse and contractor’s yard located at the northeast corner of Blosser Road and Knudsen Way in the City of Santa Maria. The property totals 5.97+/-acres with 45,350+/-square feet of building area, including warehouse, shop, and office components. The property benefits from excellent access, a large yard, multiple loading positions, and proximity to major arterial routes serving the Santa Maria Valley industrial corridor. The site is leased to a single industrial tenant on a short term lease for truck storage, and is situated within the M-2 (General Manufacturing) zoning district. The property is being considered for a re-zone of R-3 (high density residential) in the City’s General Plan Update currently underway.
Structural Improvements: Currently the improvements of the Property are in good to poor condition, estimated to have been built in the 1950’s. The east side of the former warehouse (former cooling facility) recently suffered damage from a fire, and has experienced occasional homeless persons trying to enter the property.
Present Use: The Property is currently leased to a trucking company on a short term lease.
Site Improvements: Site improvements include a chain link fence with rolling gate, and concrete and asphalt paved yard.
Topography: The Property is level.
Zoning: Currently zoned M-2 (General Manufacturing) with the City of Santa Maria’s General Plan Update considering are-zone to R-3 (high density residential)
Utilities: The Property has all major utilities to the site. Power capacity is 2,000 amps, 120/240v, 3 phase 4 wire
APNs: 123-140-032
Environmental: The Property has a Phase 1 Environmental Assessment, a Lead Report and an Asbestos Report available.
Property Taxes: Subject to Prop 13 re-assessment.








